近日
在完成各项前期准备工作后
八号线北延段支线纪念堂站
即将进入围蔽施工阶段
全线11座车站中
1座已封顶
7座进行土建施工
01
八号线北延段支线纪念堂站
纪念堂站沿解放北路南北向敷设,车站起点位于中山五路与解放北路相交处北侧,终点则在东风西路与解放北路相交处南侧,建成后将与既有二号线、在建十三号线二期实现三线换乘。

02
车站施工为何不能使用暗挖法?
纪念堂站周边环境极其复杂,建筑物及管线密布,受解放北路跨东风路高架桥制约,该站初步设计方案为分离岛式车站,建设时需在桥桩间穿插连接,进行矿山法暗挖作业,对桥梁结构安全构成隐患。出于安全考虑,广州地铁组织包含院士在内的专家组开展多轮评审和论证,经过实地调研、现场勘探等工作,结合工程实施条件等因素,最终选择了车站功能更优、建设风险更低的方案。
03
车站将如何优化?
优化后的方案将使用明挖法施工,改为地下五层标准岛式车站,可实现标准车站设计,功能布局更合理,换乘功能更顺畅,乘客空间体验也更佳。
04
围蔽方案怎么选定?如何降低影响?

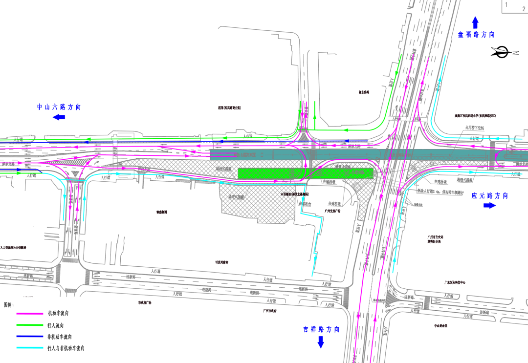
为确保施工期间解放北路路面交通安全、有序,尽可能减少施工对市民出行的影响,在交通主管部门的指导下,广州地铁联合参建单位对施工影响区域展开多轮分析勘察,制定了多个围蔽方案。通过对比不同方案下的人流车流疏导措施的可行性,最终选定了影响最小的施工围蔽方案。同时,现场施工将严格按照组织施工,选择先进环保的施工机械,安装降尘设施,采取新型设备降低噪音,做到绿色环保施工。
05
施工围蔽如何实施?
根据施工计划,施工单位将迁改解放北高架桥东风路南侧部分,在既有高架桥东侧建设钢便桥。2024年11月12日20时至2025年5月12日24时将实施第一期围蔽,进行解放北高架钢便桥施工建设。

届时,围蔽将占用:
1.解放北路地面(南往北方向)府前路对出口至交易广场对出口2车道及非机动车道和人行道
2.解放北路地面(南往北方向)右转进东风路路段最右侧1车道
3.解放北路(南往北方向)东风路右转进解放北路路段最左侧2车道
占用路段均将保留1车道通行
为了避免交通拥堵
绕行指引请看这里
👇👇👇
解放北路南往北绕行线路

①解放北路→中山六路→人民北路→环市中路→解放北路;
②解放北路→中山六路→人民北路→东风中路→盘福路→解放北路
③解放北路→府前路→连新路→东风中路→连新路→应元路→解放北路;
④解放北路→府前路→连新路→东风中路→吉祥路→应元路→解放北路;
⑤解放北路→中山五路→仓边路→小北路→应元路→解放北路;
⑥解放北路→中山五路→仓边路→小北路→环市中路→解放北路;
⑦解放北路→中山五路→中山四路→越秀北路→东风中路→连新路→应元路→解放北路;
⑧解放北路→中山五路→中山四路→越秀北路→东风中路→吉祥路→应元路→解放北路。
解放北路北往南绕行线路

①解放北路→环市中路→站前路→站南路→人民北路→中山六路→解放北路;
②解放北路→流花路→人民北路→中山六路→解放北路;
③解放北路→盘福路→东风中路→人民北路→中山六路→解放北路;
④解放北路→环市中路→小北路→仓边路→中山五路→解放北路;
⑤解放北路→应元路→小北路→仓边路→中山五路→解放北路。
围蔽期间
我们将持续做好绿色文明施工等工作
感谢大家对地铁建设的理解和支持
来源:广州地铁建设

