备受学生家长关注的厚街中心小学停车场开始动工改造了。今日,笔者在厚街中心小学停车场看到,有关工作人员正在场内清理杂物。

据工作人员介绍,这里由于是免费停车场,疏于管理且没有规范的车位,有些市民在此长期霸占车位,同时僵尸车也很多。不仅如此,场内乱停乱放现象也很严重。


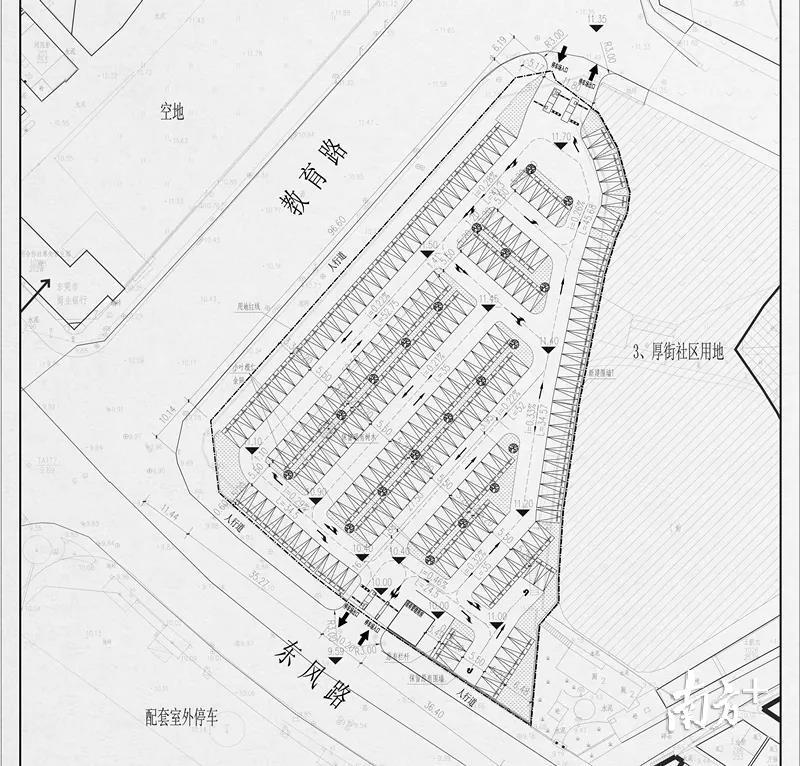
厚街中心小学位于厚街东风路,该路段较为狭窄,行车塞堵、停车困难一直是该路段的重点问题,为了缓解东风路的道路交通,方便市民尤其是接送学生的家长出行停车,厚街镇委镇政府出资对该停车场进行升级改造,方便市民及学生家长停车。

据了解,厚街中心小学停车场整体面积6500平方米,升级改造项目计划投入6000平方混凝土铺平路面,设计南北两个出口,规划219个车位标线,增加19个灯杆、600平方草坪、10棵大叶榄仁树、铁丝网围墙、场内排水系统以及车辆识别系统等,预计今年12月完工。

记者获悉,改造后的停车场将实行计时收费管理,为方便家长接送学生,计划提供1小时内免费停车服务。

由于施工期内,车辆禁止停放在车场内,厚街交警提醒广大家长,学生接送车辆需即停即走,严禁随意停放车辆。
【记者】卢真伟
【通讯员】厚宣

